Simog
VV Marshaller
- Messaggi
- 2.745
- Solutions
- 7
- Reazioni
- 2.291
Col Citation X di FlightFX verso L'Air Adventure, il famoso Airshow che si tiene ad Hoshkosh. Per gestire l'enorme mole di traffico che l'evento porta, seguiremo una fantastica procedura VFR con atterraggio "acrobatico" (previsto dalla procedura stessa) 
Ovviamente ho fatto il video dell'intero volo, anche per estrarre gli screenshots e windows ha pensato bene di registrare il browser aperto sotto al sim... 1 ora con la pagina del planner di MSFS. Ovviamente c'era anche il super meteo...



Vabbè, un po di materiale c'è e anche il video dell'atterraggio...
Procedura che vi consiglio, molto bella da fare con aerei ad alte prestazioni come questo. Vi metto il link al PDF ufficiale da cui ho estratto le immagini qua sotto
Comunque, questa è la rotta che seguiremo. Si parte da KMKG RWY 24 per poi attraversare il Lago Michigan fino al fix YATUD.
Da qui il volo diventa VFR puntando Fisk. Una città nei pressi della nostra destinazione. Arrivati a Fisk, si prosegue verso Sud Ovest fino a superare il Green lake, scendendo a 2300ft. Poi inversione di marcia e si torna a Fisk, passando per Ripon.
Siamo sulla verticale di Fisk. Viriamo a sinistra verso Sud Ovest.
Alla nostra sinistra Green Lake e poco più avanti il Puckaway Lake. Ci passiamo in mezzo e torniamo indietro
Dopo aver costeggiato il Green lake, davanti a noi appare Ripon, dove troviamo la linea ferroviaria, a sinistra e la statale, a destra. Entrambe vanno verso Fisk, quindi seguiamole. Via l'AP, si prosegue in manuale (PS. Quest'aereo è veramente uno spettacolo in manuale)
Ora la procedura richiede una virata sinistra seguendo quella stradina.
Eccola qua. Si vira, dobbiamo mantenere l'antenna alla nostra destra.
Fisk Avenue e lo svincolo. Laeroporto è ormai in vista
La procedura continua come segue:
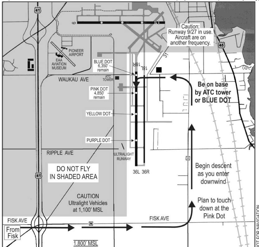
Superato lo svincolo, continuare lungo Fisk Avenue fino all'ingresso in sottovento pista 18. poi viratona stretta in finale, puntando il Blue Dot disegnato sulla pista evitando di entrare nella No Fly Zone in grigio, che è interessata dagli aerei assegnati alla 09/27 sintonizzati su una frequenza differente.
il Citation X non è proprio l'aereo ideale per questa manovra perchè non riesce a fare virate particolarmente strette ma dopo 3 riattaccate gli ho preso le misure e Touch down (con rimbalzo
)
Taxiamo al nostro parcheggio. Sui prati sono parcheggiati le 100ia di aerei che partecipano a questo evento
Ovviamente ho fatto il video dell'intero volo, anche per estrarre gli screenshots e windows ha pensato bene di registrare il browser aperto sotto al sim... 1 ora con la pagina del planner di MSFS. Ovviamente c'era anche il super meteo...
Vabbè, un po di materiale c'è e anche il video dell'atterraggio...
Procedura che vi consiglio, molto bella da fare con aerei ad alte prestazioni come questo. Vi metto il link al PDF ufficiale da cui ho estratto le immagini qua sotto
Comunque, questa è la rotta che seguiremo. Si parte da KMKG RWY 24 per poi attraversare il Lago Michigan fino al fix YATUD.
Da qui il volo diventa VFR puntando Fisk. Una città nei pressi della nostra destinazione. Arrivati a Fisk, si prosegue verso Sud Ovest fino a superare il Green lake, scendendo a 2300ft. Poi inversione di marcia e si torna a Fisk, passando per Ripon.
Siamo sulla verticale di Fisk. Viriamo a sinistra verso Sud Ovest.
Alla nostra sinistra Green Lake e poco più avanti il Puckaway Lake. Ci passiamo in mezzo e torniamo indietro
Dopo aver costeggiato il Green lake, davanti a noi appare Ripon, dove troviamo la linea ferroviaria, a sinistra e la statale, a destra. Entrambe vanno verso Fisk, quindi seguiamole. Via l'AP, si prosegue in manuale (PS. Quest'aereo è veramente uno spettacolo in manuale)
Ora la procedura richiede una virata sinistra seguendo quella stradina.
Eccola qua. Si vira, dobbiamo mantenere l'antenna alla nostra destra.
Fisk Avenue e lo svincolo. Laeroporto è ormai in vista
La procedura continua come segue:
Superato lo svincolo, continuare lungo Fisk Avenue fino all'ingresso in sottovento pista 18. poi viratona stretta in finale, puntando il Blue Dot disegnato sulla pista evitando di entrare nella No Fly Zone in grigio, che è interessata dagli aerei assegnati alla 09/27 sintonizzati su una frequenza differente.
il Citation X non è proprio l'aereo ideale per questa manovra perchè non riesce a fare virate particolarmente strette ma dopo 3 riattaccate gli ho preso le misure e Touch down (con rimbalzo
Taxiamo al nostro parcheggio. Sui prati sono parcheggiati le 100ia di aerei che partecipano a questo evento
Ultima modifica: